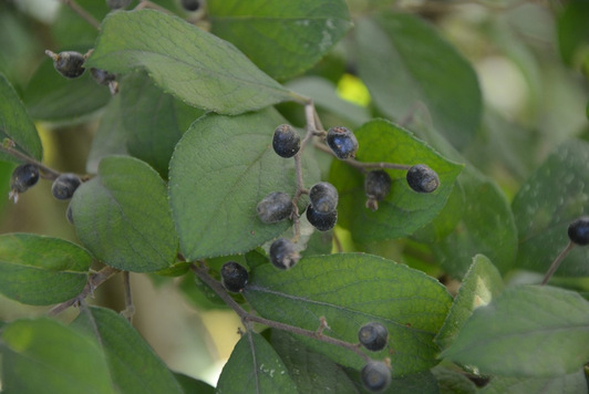
华山矾 Camellia oleifera Abel.
【科属】山矾科
【药用部位】根、叶、果实
【药用价值】华山矾根:苦;性凉;小毒。归胃;大肠经,具有清热利湿;解毒;止血生肌的功效。可用于泻痢;疮疡肿毒,创伤出血;烫火伤;溃疡等。华山矾叶:苦;性凉;小毒。归胃;大肠经,具有清热利湿;解毒;止血生肌的功效。可用于泻痢;疮疡肿毒,创伤出血;烫火伤;溃疡等。华山矾果:清热解毒,可用于烂疮。
【拍摄地】宜春郊区
发布者:hxsw发布时间:2020-06-09浏览次数:407
华山矾 Camellia oleifera Abel.
【科属】山矾科
【药用部位】根、叶、果实
【药用价值】华山矾根:苦;性凉;小毒。归胃;大肠经,具有清热利湿;解毒;止血生肌的功效。可用于泻痢;疮疡肿毒,创伤出血;烫火伤;溃疡等。华山矾叶:苦;性凉;小毒。归胃;大肠经,具有清热利湿;解毒;止血生肌的功效。可用于泻痢;疮疡肿毒,创伤出血;烫火伤;溃疡等。华山矾果:清热解毒,可用于烂疮。
【拍摄地】宜春郊区